一、工程概况介绍
案例工程是大型城市综合体,由2栋高层办公楼及其配套商业组成。地下共3层局部两2层,功能主要为超市、商场、人防地下室(平时为汽车库,战时为防空地下室)、及设备用房。结构类型为钢筋混凝框架、土剪力墙结构,建筑高度为92.25m。
二、现场情况介绍
由于分期建设,前期施工预留后浇带紧邻土方开挖,虽原施工单位采取了防护措施,但预留钢筋仍有锈蚀,后浇带内泥浆杂物较多。后浇带的淤泥清理、钢筋除锈、保护、防水接缝、混凝土的浇筑与养护均属于我项目工作。

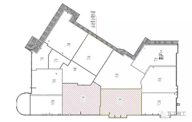
地下室底板后浇带分布图


现场实拍图
案例工程地下室底板和顶板、剪力墙、楼层板均设有后浇带。由于底板、侧墙与顶扳均为双层双向钢筋,后浇带位置的钢筋密集,且须设止水钢板,因此对后浇带的处理比较复杂。基础施工中难免碰撞,大部分钢筋变形扭曲,调直及接口清理是一大难点。
三、后浇带设置
案例工程地下室抗水板,厚度分别为450㎜、500㎜,主楼筏板1800㎜,C35、P8抗渗混凝土;地下车库顶板为梁板式,厚度160mm,C35、P6抗渗混凝土;剪力墙厚度为300㎜,C35、P8-P6抗渗的混凝土。后浇带宽度800mm。地下室底板及楼层板均为一横二纵设置。
四、对后浇带的留设要求
1、设计对后浇带的要求
1) 按照设计及规范要求,当后浇带是为了减少混凝土施工过程的温度应力时,后浇带的保留时间不少于两个月,当后浇带是为调整结构不均匀沉降而设置时,后浇带中的混凝土应在两侧结构单元沉降基本稳定后再浇筑。
2) 所有后浇带混凝土应采用比周边混凝土高一个等级的微膨胀混凝土浇筑。
3) 后浇带留置部位钢筋先做分离处理,浇灌板带混凝土将两侧分离钢筋加焊,如图,后浇带处的梁钢筋须连通。

4) 后浇带企口采用粗糙的木模,案例工程采用市场的商品快易收口钢网支挡,使界面保持粗糙。
5) 地下室后浇带必须采取覆盖保护措施,凡因留置后浇带而形成较大悬臂的部位应加支撑,待后浇带混凝土浇筑后强度达到100%时才能拆除。
6) 后浇带填筑前必须全面进行清理干净。如地下室积水,应抽排干净并清除干净该处余泥渣物,用水冲洗干净后,方能浇筑混凝土。
2、周边混凝土浇捣前后浇带隔离模板施工工艺
1)后浇带施工支模是整个后浇带质量保证的关键所在,必须采取合理、有效的支模方案。底板混凝土浇捣时两侧的底板、梁钢筋比较密集,是支模的难点。首先在底板的后浇带垫层浇捣时,比后浇带相邻两侧底板垫层低100mm。防止底板混凝土浇捣时跑浆而裹住底板下层钢筋。如混凝土浇捣时,仍有水泥浆跑出,应立即用水管进行冲洗,至露出底板下层钢筋及保护层厚度为止。在底板基础梁后浇带处,设计梁底集水坑,使梁底跑浆的混凝土能够冲洗至集水坑内,保证基础梁后浇带能够完全贯穿。
2)底板下层钢筋网扎好后即进行后浇带侧面支模工作。因后浇带部位钢筋比较密集,木模不能支撑严密,且较难拆除,遂采取双层钢丝网片加Ф14钢筋骨架作为支模材料。施工时,先按后浇带设计准确位置焊接定位钢筋骨架,钢筋骨架竖向钢筋Ф14高400mm@500一排作为后浇带侧模的主要受力杆,然后焊接水平Ф14通长钢筋@200的竖向钢筋网,钢筋网与底板上下层钢筋网的横向主筋焊牢,防止混凝土浇捣时位移。
3) 竖向钢筋网焊好后,用双层密目18#钢丝网与竖向钢筋骨架用18#铁丝绑扎牢固,要求绑扎点间距200200,防止混凝土浇捣时胀模。钢丝网应绑扎在后浇带竖向钢筋的反侧。
4) 侧面钢丝网支撑完成后,开始绑扎底板上层钢筋网,竖向钢丝网骨架与上层钢筋网横向主筋焊牢。

5) 基础梁处后浇带先绑扎18#密目双层钢丝网片,然后用与基础梁等宽度的短钢筋@100间距绑扎在基础梁的箍筋上,并两端焊接固定,要求钢丝网片封闭严密,防止漏浆。
6)混凝土浇捣时,应派专人守模,如有跑浆时,应立即用水冲洗清理,保证底板钢筋网的保护层厚度及后浇带的贯穿。
7) 地下室剪力墙、顶板、梁支模方法与地下室底板基本相同,顶板、梁后浇带支模时,应在后浇带居中处模板底板处断开,在平板底板混凝土浇捣时作为清理跑浆的混凝土用,后浇带处的跑浆混凝土必须随手清理干净,露出梁、板钢筋,严禁事后在后浇带处用大锤凿打残留混凝土。
8) 顶板后浇带两侧的结构楼板、梁在后浇带二次浇捣前必须加设支撑,支撑用100圆木并用木楔顶紧,支撑间距为1000mm,且梁端必须设置一根,支撑间用4060方料纵横连接成整体,增强支撑的刚度和稳定性,使框架梁不会形成悬挑构件。
(1)地下室底板后浇带的留设:
案例工程地下室底板后浇带按结构平面位置尺寸留设。
(2)留设方法如下:地下室底板底筋绑扎好后,按设计图的位置出200mm拉通长线,支架沿止水钢板中心线(即后浇带边线)与底筋焊接加固,支架完成后,下部用1000目钢丝网帖成双层沿支架敷设并扎牢,止水钢板沿支架中心布置,与钢筋支架焊成整体,施工中注意控制钢板中心(每边150mm)必须在一条线上且必须水平。板面筋绑扎完成后,紧贴止水钢板上部用1000目钢丝网扎紧或木方做边模。做法如图:


(3)后浇带部位的模板支承体系应以其两侧轴线为界,自成一独立体系,同时又要确保与整体支承系统共同受力,即当相邻结构施工时,后浇带部位的支承架参与整体支承系统共同受力,但当相邻结构模板及支承架拆除后,后浇带部位的支承架及模板独立工作的性能不变,后浇带两侧混凝土结构与模板间应不产生间隙,后浇带混凝土浇筑后接缝平顺。


(4)后浇带部位的模板支承体系必须在后浇带部位的混凝土达到设计要求的100%后,方可拆除。
(5)地下室外墙垂直、水平后浇带(施工缝),案例工程使用3004钢板止水带,后浇带节点如图:


(6)梁的竖向后浇带
案例工程梁头施工缝采用1000 目的钢丝网片叠合二层,用细钢丝绑扎牢固,紧贴钢丝网的外侧用水平短钢筋绑扎在梁的钢筋上,作为背楞。在浇筑梁混凝土时把制作隐含施工缝的钢丝网片、短钢筋等材料不再拆除取出。
(7)板面后浇带:
板后浇带的底模与支撑系统与两侧现浇板模板分离。后浇带混凝土浇筑前,后浇带位置的顶板模板与支撑系统不得拆除。
混凝土浇筑28天后,下方模板与支撑方可拆除。为了避免工人误拆后浇带支撑架,架子与模板用黄黑相间颜色标记。
4、后浇带的处理:
1)防止垃圾等杂物落入后浇带内的措施:后浇带处理并清理干净后,应在后浇带两侧的板面上砌筑二皮砖墙,外侧用砖砌体做成防水坎,然后在后浇带的上面辅封盖木模板,避免以后施工过程中污染钢筋及建筑垃圾掉入后浇带内
2)梁头部位:在拆模后绑扎钢筋之前,施工队放线人员将梁头位置在墙上弹出边线,接着施工队派专人用砂轮切割机配合使用錾子将梁头位置精确凿出,要求凿除多余的混凝土,混凝土表面的水泥膜、浮浆、松动石子等,并清除干净。
3)后浇带在浇灌前,应将钢筋除锈,调直理顺,将接缝处的混凝土凿毛,清除松石子和杂物,清洗干净,保持湿润,并刷纯水泥浆一道。
4)后浇带在浇筑混凝土时,振棒落振点先振两侧,后振中间,多点轻振,捣实。后浇带捣实后即抹平,清除余浆。
五、后浇带的保护措施
1、底板后浇带的临时保护措施:后浇带空置期间,为防止杂物、污水进入,可采取以下封闭措施:在底板后浇带上侧砌筑120mm宽、200mm高的砖带,上部用胶合板或编织布全封闭。

2、混凝土墙后浇带的保护措施:

2.1 外墙后浇带与底板施工缝留置与原结构位置相同,比底板面上翻300设置,剪力墙和顶板混凝土应一次性浇捣。
2.2 外墙剪力墙后浇带的二次浇捣时间比室外基坑回填土方时间迟,所以外墙剪力墙外侧支模采用50厚预制钢筋混凝土板固定在混凝土墙面,比后浇带两侧各宽500mm。
3 顶板(楼面)后浇带的保护措施:
后浇带空置期间,为防止杂物、污水进入、人员掉入,可采取以下封闭措施:在底板后浇带上侧砌筑120mm宽、200mm高的砖带,上部用胶合板或编织布全封闭

后浇带封闭前,后浇带位置的顶板模板不得拆除。个别需拆除的,需在28天后,并及时用钢管回顶。
六、后浇带施工
(一)浇筑前的施工准备
1、材料准备
浇筑后浇带混凝土前应提前和商品混凝土厂家联系,特别注意配合比的混凝土强度等级和微膨胀剂的掺入。
1)外加剂的要求。通常使用较多的膨胀剂是UEA,在工程中它可以直接掺入搅拌机制成补偿收缩混凝土,UEA掺量一般为水泥重量的10%12%,膨胀率控制在2.5*10-4左右。
2)水泥用量对膨胀率的影响很大,所以水泥称量必须准确,误差不得超过1%,如果是直接掺加膨胀剂,则称量误差应更小,以保证设计规定的膨胀率。
3)补偿收缩混凝土的需水量较大,所以拌和水应比相同坍落度的普通混凝土多12%左右,但是增加水量会增大水灰比,使膨胀率减少和干缩增加,所以应在操作条件允许的前提下,尽量少加水,或掺加减水剂以减少加水量,现在多掺加高效减少剂。
4)选择骨料应使其不对膨胀率和干缩率带来不利影响,若有条件的情况下,骨料采用间断级配有利于提高膨胀性能。尤其是前面两点要认真对待,不能象浇灌一般的混凝土的误差相对较大因为如果膨胀剂掺量超标,自由膨胀率太大,混凝土的强度和耐久性就会显著降低,在钢筋混凝土中甚至会使钢筋保护层脱落。
2、机具及人员准备
施工前,一切施工用的机具、人员准备充分。机具有:尖锹、平锹、插入式振捣棒、平板磨光机、木抹子、刮杠、临时照明灯具等。所有机具均应在浇筑混凝土前进行检查,振捣器经检验试运转正常。同时配备专职机修工,随时检修。混凝土浇筑前,混凝土施工员根据施工方案对操作班组进行全面施工技术交底。后浇带位于基础和墙体及梁板部位均采用振捣棒振捣,板面采用磨光机进行收面磨光。
3、技术准备
在施工前应该注意混凝土配合比的情况,做好操作人员的交底工作,单独做好钢筋隐检的工作,注意留置试块。
4、作业条件
满足设计施工图规定的时间,并在沉降观测得到设计部门认可后、监理验收合格后方可进行浇筑。
(二)施工工艺流程及施工方法
1、施工工艺流程
1) 地下室底板后浇带混凝土浇筑
凿毛并清洗混凝土界面钢筋除锈、调整抽出后浇带处积水并凉干安装膨胀止水条报甲方监理验收混凝土界面处理(在浇筑前刷素水泥浆一道,前面刷后面浇筑)后浇带混凝土施工后浇带混凝土养护。
2) 地下室外墙防水后浇带混凝土浇筑
清理先浇混凝土界面钢筋除锈、调直封后浇带模板并加固浇水湿润模板后浇带混凝土浇筑。
3)楼板面后浇带混凝土浇筑
清理先浇混凝土界面支设模板并加固调整后浇带钢筋并除锈报甲方监理验收混凝土界面处理(在浇筑前刷素水泥浆一道)浇筑后浇带混凝土后浇带混凝土养护。
2、施工方法
1)、分期交界处后浇带处理
首先用人工将该位置淤泥及垃圾进行清理,外运。然后用水进行清洗,将淤泥清洗干净后对防水进行修复和接头处理。校正钢筋和钢筋进行除锈。对抗水板混凝土边缘进行凿毛,涂刷界面剂。我司在该位置抗水板施工完毕后进行保护,达到设计要求后进行后浇带封闭。
2)拆除、清理后浇带杂物
在原楼层施工时,为了追求后浇带留置位置的准确和观感,在后浇带二侧为钢丝网和木方,现在施工时要将木方全部拆除,将多余的钢丝网剔除,梁板后浇带内的流浆和多出的混凝土需凿除干净并凿直,将原有的混凝土垃圾全部清理干净方可进入下道工序。
2)钢筋除锈和调直
(1)钢筋除锈包括将所有钢筋全部除锈,基础内的钢筋用长把钢丝刷进行除锈;
(2)除锈后用水将后浇带内的钢筋锈冲洗干净;
(3)钢筋除锈标准为使每根钢筋表面无浮锈,达到验收标准合格。
(4)除锈后要将钢筋弯曲的进行调直,梁板内的受力钢筋需按设计要求进行搭接和补焊,需增补的钢筋要进行增补;
(5)框架梁的箍筋应调整均匀,应对漏绑扎的全部绑扎。
(6)经监理单位验收合格后,基础除锈冲洗后要立即进行浇筑,楼层后浇带在混凝土浇筑前进行冲洗,防止钢筋二次锈蚀。
3、模板的支设
地下室底板后浇带清理完成后可直接浇筑混凝土,不需装模,梁板及外墙等部位的后浇带需先装模板才能浇捣。模板的支设同原设计梁(墙)板尺寸,下部支撑必须顶紧,地下室外墙加固用对拉止水螺杆。楼层后浇带的模板从下到上分层进行,中间不能间断。
4、后浇带混凝土浇筑:
(1)混凝土浇筑前要将后浇带内杂物清理干净,用水冲洗后刷纯水泥浆一道。
(2)混凝土比设计高一个强度等级的微膨胀细石混凝土浇筑,混凝土进场,检查原材料报告单是否齐全,设计配合比以及现场调配是否齐全。
(3)混凝土坍落度应放在80120㎜,对进场混凝土应抽测其坍落度,不合格混凝土坚决退回。
(4)后浇带和施工缝在浇筑混凝土时,振棒落振点先振两侧,后振中间,多点轻振,捣实。第一遍振捣抹平时应比相邻原结构面略高出约5mm左右,待混凝土间隔1小时左右进行第二次复振,以提高混凝土的密实度预防混凝土收缩产生裂缝,第二次复振后,再次浇捣的新浇混凝土与相邻结构已基本相平,最后在混凝土初凝前抹平压实,与结构接缝平整。浇筑时应分段进行浇筑,使用振捣棒应快插慢拔,插点要均匀,逐点移动,不得遗漏,做到均匀,振实移动间距不大于振动棒作用半径的1.5倍,(一般为30~40㎝)。
(5)为保证后浇带混凝土在规定的龄期内达到设计要求的强度,控制混凝土早期产生收缩裂缝,必须做好养护工作,并在混凝土浇筑完毕后12h进行,养护时间应不小于14d,以保证混凝土体处于湿润状态。
(6)在浇筑混凝土时,专人专职巡检缝底支模,是否有松动,暴裂、变形等现象。如有即停止浇筑,对支模进行抢修后再浇筑。
(7)拆除模板必须在混凝土强度等级达到要求以后,才能进行。
(三)后浇带施工应注意的问题
后浇带要严格按施工规范和设计要求进行施工,施工中应高度重视下列问题:
1、 接缝形式必须严格按图施工,施工时应用堵头板。不能留成自然斜坡槎,使施工缝处混凝土浇捣困难,造成混凝土不密实,达不到设计强度等级。地下室底板还易产生渗水现象。
2、 后浇带先浇混凝土完成后应进行防护,局部应覆盖,四周用临时栏杆围护,防止施工过程中污染钢筋,保证钢筋不被踩踏。坚决避免后浇带不设围护,踩弯钢筋、钢筋杂乱、建筑垃圾较多,不易清理的现象。
3、 后浇带浇筑混凝土前必须将整个截面按照施工缝的要求进行处理,清除杂物、水泥薄膜、表面松动的砂石和软弱混凝土层,并将两侧混凝土凿毛,用水冲洗干净,充分保持两侧混凝土湿润,一般不少于24小时。在表面涂刷水泥净浆或混凝土界面处理剂后,及时浇筑混凝土。若两侧混凝土不凿毛就浇注,容易使新老混凝土的粘结强度难以保证,处理不好就会在后浇带两侧造成两条贯空裂缝,极易渗水。
4、 浇带混凝土浇筑时,混凝土等级按设计要求施工,并在混凝土中掺加防裂抗渗剂,使用微膨胀水泥,可使其产生微膨胀压力以抵消混凝土的干缩,温差等产生的拉应力,使混凝土结构不出现裂缝,提高抗渗能力。
5 、后浇带后浇混凝土一定要精心振捣密实,注意浇水养护。
6 、后浇带部位的梁,板内钢筋焊接好,该部位梁板内的加强钢筋应严格按设计图纸设置。
7 、后浇带跨内的梁、板在后浇带混凝土浇注前,两侧结构长期处于悬臂受力状态,施工期间,本跨内的模板和支撑不能拆除,必须待后浇混凝土强度达到设计强度值的100%以上后,方可按由上向下顺序拆除。杜绝提前拆除后浇带跨内的模板和支撑,造成板边开裂,使结构承载能力下降。
8、 在混凝土浇筑和振捣过程中,应特别注意振捣器距离模板的距离,防止混凝土振捣中水泥浆严重流失,一般振捣器距离模板控制在40~50cm之间,为了保证混凝土的密实性,在钢丝网片及模板处,较深的垂直施工缝处应补用钢钎人工捣实。
9、因后浇带混凝土应采用提高一个强度等级、早强、补偿收缩的混凝土。施工前单独申请混凝土配合比,施工中提前做好水泥、砂、石和外加剂及掺合料的进场检验和试验工作,及时申请混凝土配合比。浇筑时认真计量,在混凝土浇筑时按规定留置标养试件和同条件养护试件,用以检验和证明后浇带混凝土的强度。混凝土浇筑后应重视其养护工作以提高混凝土的密实度和抗渗性。
七、质量保证措施
1、为了使后浇带施工达到一次性合格的质量目标,所有后浇带的清理、钢筋除锈、调直、模板的支设、混凝土浇筑等将派专人管理,并一直跟踪至养护结束。
2、混凝土配合比是保证混凝土质量的基础,配制混凝土拦合物的配合比必须准确,以保证设计要求的混凝土的强度等级和耐久性以及施工时和易性的要求。
3 、后浇带混凝土的养护措施
为保证后浇带混凝土在规定的龄期内达到设计要求的强度,控制混凝土早期产生收缩裂缝,必须做好养护工作,并在混凝土浇筑完毕后12h进行,养护时间应不小于14d,以保证混凝土体处于湿润状态。
在浇筑后浇带两侧平台后,在后浇带边浇高30㎜的混凝土带用于拦住养护水。后浇带上方先覆盖一层塑料薄膜或彩条布,再覆盖一层竹夹板,以保持后浇带内无杂物。对掺有缓凝型外加剂或有抗渗要求的混凝土,其连续养护时间不得少于14d。 在混凝土强度达到1.2N/mm2前,不得拆除梁侧模在混凝土上面踩踏或安装模板及支架存放重物、及其他易造成的冲击荷载等。
八、施工安全要求
1、作业人员必须严格遵守劳动保护规定,正确佩带和使用个人防护用品。现场操作要戴好安全帽,高空作业要系好安全带。作业人员必须严格执行安全技术交底和班长班前讲话要求。
2、操作人员之间要保持一定距离,防止交叉干扰。交叉施工时,要有可靠的防护措施,不得伤害他人,也避免被他人伤害。
3、混凝土输送泵管吊装时,严禁碰撞墙板钢筋,严禁直接压到预留管上,严禁大批集中堆放,放置时要缓慢、平稳;混凝土操作人员处于湿作业环境中,振捣操作时要戴好绝缘手套,穿好胶鞋。
4、 作业人员不得随意抛洒施工垃圾和排放污水等人为造成的环境污染。
5 、作业人员除必须执行作业时间限制外,在作业过程中应该自觉减少和消除嘈音。施工尽量减少噪音及夜间施工。
6 、作业人员要坚持文明施工,个人行为要适应CI形象管理要求。
7 、拆除楼顶模板时应该一边拆支撑一边拆模板,禁止一次性拆完支撑。未浇筑的楼层后浇带顶面应覆盖严密,防止物体从后浇带中坠落伤人。
8、 所有用电线路必须架空,接线必须由专业电工操作。现场照明灯具的架设高度要符合有关安全规程的要求,夜间施工必须有足够的照明设施,严禁私自拉电线。
9 、大门设专人清洗进出车辆以防尘土、泥浆带入市政道路。施工现场定时洒水防止扬尘。清洗罐车的污水禁止随地倾倒。混凝土车装料及卸完料后,应将溜槽清洗干净,防止地漏在路上。
10、 后浇带支撑体系施工时,必须严格按照方案和交底搭设,搭设完毕后必须经项目部检查验收合格后,方可进行下道工序的施工。无项目部拆除令,任何人员不得拆除结构模板支撑体系和后浇带支撑体系。任何作业人员不得擅自拆动施工现场的脚手架、防护设施、安全标志和警告牌,如必须拆动时须经施工负责人允许方可。
11、 严禁随意拆除或损坏防护栏杆、拉杆、安全网、跳板、脚手板、支撑等防护设施。
12 、清理后浇带杂物时,下面楼层必须有人看护。
13、 各种小型电动工具,必须由专人进行操作使用保管。