
图1.设计说明(为了节省篇幅摘录其中部分)

图2.卫生间设计图例

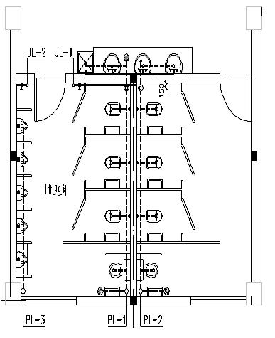
图3.施工平面布置图

图4.部分立管系统图
(二)案例一解析
1、 图纸构成。
本例卫生间给排水安装工程图纸由设计施工说明、图例、施工平面布置图、立管系统图、局部放大图,安装详图等组成。为了简化,省去了局部放大图和卫生间详图。
2、设计施工说明部分。
设计施工说明是有文字和数字组成的,主要阐述工程地理位置、工程概况、设计的依据(建设单位对功能要求,国家规范、行业规范等)、施工要求、设计参数、所选管材、管道连接方式、安装要求、压力要求、采用图集等,这部分必须仔细阅读,是图纸的总纲,直接关系着工程的造价高低。
3、图例部分。
设计图例是看图的模板,说明图例代表说明内容可以在看图过程中进行对照,第一节已经做了详细介绍。
4、施工平面图部分。
平面图是各种管道设备等在水平面上的投影图,为最重要的施工图纸,反映各种管道、卫生设备器具等在平面上的位置关系、走向,也是工程量计算的主要依据,一定要高度重视平面图的识读。主要读懂以下内容。
4.1管道的规格;本例有De20、De25、De32、De40、De50、De75、De110等。
4.2管道的数量(按照图纸上面比例尺和建筑结构尺寸计算);本单元下有详细讲解。
4.3阀门的种类、规格、数量;本例每层有旋塞阀DN15、DN25、DN40,冲洗阀DN20等。
4.4大便器的种类(蹲式还是坐式,有水箱还是冲洗阀冲洗)、数量;本例是每层有坐式大便器2个、蹲式大便器3个。
4.5小便器的种类(壁挂还是立式)规格、数量;本例是每层有壁挂式小便器5个。
4.6拖布池的规格、数量;本例每层有1个,规格设计说明里面有。
4.7洗脸盆的种类、规格、数量;本例是每层有面板式洗脸盆,3个。
4.8地漏的规格、数量;本例每层有地漏规格De50,圆形地漏3个。
4.9清扫口的规格、数量;本例每层有清扫口为De75,2个。
4.10穿墙或楼板的套管规格、数量;本例穿楼板穿墙套管比管径大两个型号,如管道为De75则套管规格为DN100,材质为普通钢套管。套管的数量按照管道穿越墙、楼板的次数计算,每穿越一次就加一个套管,从平面图上计算穿墙套管数量,从系统图上计算穿楼板套管数量。如本例穿墙套管排水有DN150,2个;给水穿墙套管DN50,1个;DN40,1个;DN32,1个;穿楼板套管排水有DN150,10个;DN80,4个;DN70,11个;给水穿楼板套管有DN70,2个。
4.11立管系统的数量,种类;本例给水立管两路,JL1、JL2;排水立管三路,PL1、PL2、PL3。
4.12支架的材料、规格、数量;支架为型钢支架,规格按设计要求,一般按支架重量以kg计取。关于管道支架的计算,各省的规定不尽相同,山东省规定,室内管道安装定额已经包含支架部分,不用再计算;有些省份规定DN32以内的管道包含支架,以上部分需要另计。管道支架的计算以图纸和设计说明为依据,当图纸上有详细的支架规格和数量时,按照图纸进行计算;当图纸上面没有表示,但是说明里面有支架项目,按照安装技术规范要求的规格和间距进行计算。
4.13利用管道的安装标高来表示各种管道,设备等空间位置的关系。明确指导实际的施工安装。如水平管道沿墙敷设,距墙多远、离地多高等,为了画图方便一般都用简化表示,只要规范上有明确规定的或系统图上能够看明白的不再标注。如本例管道标高从系统图可以看出,与墙间距安装规范有明确规定就不再进行标注。
5、立管系统图部分。
立管系统图是反映在平面图里面所不能反映出来的空间位置关系。要读懂这部分图必须懂得各种投影视图,包括俯视图、仰视图、左视图、右视图、前视图、后视图。所谓投影视图就是把立体空间图按照投影的方法反应在平面内,方便在图纸上反映出来。如一根水平钢管,
俯视图、仰视图、左视图、右视图为

左视图、右视图为

同时要明白在平面图上的长度关系反映在系统图上为:
平面图上的水平长度与系统图相等,即平面图上的左右关系在系统图上保持不变;平面图上的宽度在系统图上缩短为其0.5倍,并把垂直宽度线顺时针旋转45℃进行绘制,即平面图上的前后关系在系统图上表现为缩短0.5倍且进行顺时针旋转45℃;平面图上的管道、设备标高在系统图以示垂直线表示并标注标高,即平面图上的上下关系在系统图上表现为垂直关系。应该注意系统图上下立管图纸上显示的是示意图,不能按图长度计算,须按标注标高计算。这里有几句帮助记忆的速记口诀,长对正、高平齐、宽相等。要想了解更多的投影知识可以参考刘力等.《机械制图》 第2 版. 北京. 高等教育出版社,2004 。 西安交通大学工程画教研室编. 《画法几何及工程制图》 . 第3 版. 北京: 高等教育出版社,2002。
5.1管道空间走向、接管等,能够反应空间位置关系,直接指导安装。
本例中排水系统PL1表示:每层有排水De50地漏2个、De110大便器4个、洗脸盆1个、拖布池1个、清扫口1个。
给水系统JL1表示:每层接供水De50拖布池1个、De32大便器8个、De25洗脸盆3个。
5.2各种卫生器具,阀门的安装高度,都在系统图上进行标注。
5.3立管检查口的数量、规格。
5.4管帽等立管上排气管件,规格、数量。
5.5立管的管径规格、数量(按标高计算)。
5.6套管的规格、数量。参考本节4.10。
(三)管道类安装工程基本识图顺序
为了快速、准确的进行施工图识图,应注意识图顺序和方法,做到工程量计算不重复不遗漏。
1、仔细阅读设计说明和各种图例。
2、平面图和系统图结合进行读图,计算工程量。这里要注意计算顺序:
首先计算大的设备、器具,那种型号规格,数量多少,这部分很明确。
其次计算主管道,先水平管后立管,每层管道的计算从立管接口进行,先算供水管或回水管,管径可以在图纸上读出,长度可以图纸进行计算,注意每算完一段用铅笔画上一道进行标示,避免重复。
再次计算分支管道,从主管道分出来的所有管道都属于分支管道,要分回路进行计算,直到计算到相应的末端器具或设备。
然后计算阀门,按照图纸从主管道开始,由大到小,分步计算。
随后计算套管,按照计算管道的步骤,逐层逐个计算,勿忘立管穿楼板的套管。
接着计算管道支架,按照设计说明和安装规范,从主管到支管,最后立管,分步计算。
最后结合设计说明和管道的工程量,计算管道的防腐、刷油、保温等。
(四)案例二图纸
1、图纸设计说明。
1.1.设计依据: 低压配电设计规范(GB50054-95); 建筑照明设计标准(50034-2004); 建筑设计防火规范GB50016-2006;民用建筑电气设计规范(JGJ/T16-92)。
1.2照明供电系统本工程楼内采用TN~S接地形式,进户总配电箱做重复接地(从基础接地极单独引一根-40x4镀锌扁钢至总配电箱AP).所有配电箱的金属外壳均可靠接地. 本工程应急照明供电采用灯具自带蓄电池,自带开关.停电时自动点亮,应急工作时间均不小于30分钟,所有安装高度低于2.4米的灯具均设保护线. 平面图中照明回路均采用BV-500V-2.5mm 导线,穿硬质阻燃塑料管暗敷. 其中2~3根导线穿PC16管,4~5根穿PC20管,6~7根穿PC25管.
1.3管线敷设; 所有管线除特别说明外均沿墙或楼板暗敷.
2、图例设备材料表。

图5图例设备材料图
3、电气平面布置图

图6电气平面布置图
4、电气系统图
图7电气系统图
(五)案例二解析
1、 图纸构成。
本案例酒店标准间电气安装图纸由设计说明图,图例及设备材料表,电气平面布置图,电气系统图等组成。
2、设计说明部分。
设计说明主要说明设计依据,供电电压、供电方式;照明系统、电视系统等接地形式、配电箱、安装高度、采用的导线、管线敷设方式、导线材质、穿线管材质及管径等基础资料。
3、图例及设备材料表。
图例及设备材料表是识图的重要参考,方便快速准确读图、计算。图纸中不能准确表述的在这里一般可以明确,包括各种主要的设备、管材、导线的名称、型号、规格、材质、数量,读图过程一定要与平面布置图,系统图进行结合,但是材料表里面的工程量不能作为编制预算的工程量,应该结合图纸进行核算。
4、电气平面布置图。
电气平面布置图是各种电气设备、配电箱、插座、灯具、开关、线路等在平面图中的投影图,是能够反映各种器具、管线等在平面内的位置关系,是工程量计算的重要依据,是最为重要的电气类图纸。平面布置图需读懂以下主要内容:
4.1开关箱(配电箱)的型号、规格;本案例有漏电开关箱ARC,1个,具体规格参考系统图。
4.2插座的型号、规格、数量;本案例有暗装二极加三极安全插座,5个;暗装二极加三极防水安全插座,1个。
4.3用电设备的型号、数量;本案例有卫生间换气扇1台。
4.4灯具的型号,数量;本案例有220V18W筒灯,2盏;卫生间防水防尘灯,1盏;床头灯2盏;镜前灯1盏。
4.5控制系统的型号、数量;本案例有床头控制柜 1台,内配5个暗装单级开关;暗装单级开关1个;暗装双极开关1个;暗装单级双控开关1个。
4.6管线的规格、长度,穿线管的规格长度。本案例中有管内穿3根线的,有4根线的,有5根线的,在平面布置图上都有表示,有斜线的根数表示或则用1根斜线加数子表示,如穿5根线用一个斜线加数字5表示;具体长度可以按照平面图结合图纸比例尺直接量取,或则利用算量软件进行算取。具体的管线计算可以参考本单元下半部分,预算编制实例。
5、电气系统图。
电气类系统图和管道类不同,电气系统图是表示具体的接线方法,不反应线路空间位置关系,电气系统的空间位置关系一般是用文字或则数字直接在平面图上进行标注。如本案例系统图仅反映漏电开关箱的规格(宽*高*深 300*300*100)、箱内接线,电线的型号、规格、穿线管的管径、穿线管的材质、断路器、额定功率等。
(六)电气类安装工程基本识图顺序
电气类图纸和管道类图纸是有一定的差异的,识图方法和识图顺序优为重要,简单总结识图经验如下:
1、设计说明要细读,电气类工程很多数据,要求在图纸上反映不出来都在设计说明里面进行描述。像工程接线方式,控制方式,线管敷设方式等。
2、图例和设备材料表要结合平面图与系统图进行比照,防止漏项、缺项。特别注意管线的高差电气类是在平面图上进行文字表述。
3、工程量计算顺序
3.1计算变配电设备。如变压器、断路器、隔离开关、互感器、电抗器、电容器、高压成套配电柜等。
3.2计算控制设备。如各种开关、低压配电室、熔断器、控制器等。
3.3计算低压用电设备,如排气扇、风机、各种灯具等。
3.4计算配管、配线工程量。按照工程量计算规则和设计说明各种配管按照不同的敷设方式、敷设位置、管材材质、规格,进行计算。原则是从配电箱开始按回路进行计算,先按层计算,最后进行汇总,千万不要跳算,防止混乱,避免错误。
以上通过两个简单的案例,介绍了安装工程施工图的组成和安装工程识图的基本步骤,注意要点,识图方法,视图顺序等。安装工程识图、读图的能力也是在工作中不断积累,随着我们接触安装工程的逐步增多,我们的视野范围会更加宽广,我们的看图水平、读图速度都会得到更大的提高。