规范网
更新
当前位置:
首页
资料
内容详情
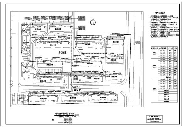
小区室外管网设计
帮助
举报
收藏
上传文档
下载
预览图
小区室外管网设计 小区室外管网设计 住宅小区总平面室外设计,请指教!
小区室外管网设计
收藏
下载
声明:本站为网络服务提供者及网络索引服务平台资源索引自网络/用户分享,如有版权问题,请
联系
站方删除。
不能下载?报告错误
下页:
松木桩 详细说明及平面设计施工图
相关推荐
住宅小区安全防范系统运维服务规范 (DB34/T 4977-2025)
住宅小区微型消防站建设管理规范 (DB3207/T 2039-2025)
住宅小区保安服务规范 (DB3402/T 76-2024)
住宅小区电动汽车充电设施建设管理规范 (DB4403/T 525-2024)
津17D20图集 住宅小区安全防范系统
小区室外管网设计
下载
免费下载
用户名称:
千灯
注册时间:
2022-03-25
认证方式:
手机认证
资源帮助
上传文档
标签
公司总结
技术总结
教师发言稿
cad制图标准
噪声标准
edi标准
垫片标准
建筑标准
思想汇报
球墨铸铁管标准
消防救援规范
CAD图纸、图集
教师工作计划
金融规范
图集
16s518
插头标准
司法规范
暖通
土地管理规范
医院工作计划
信息总结
iec标准
行业EXCEL表格
体育规范
学习总结
机械规范
山西省标准